
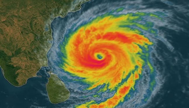
फिलीपींस हाल के दिनों प्रकृति के दोहरे प्रकोप से जूझ रहा है। हाल ही में आए टाइफून कल्मेगी में 200 से ज्यादा लोगों की मौत के बाद अब देश पर सुपर टाइफून ‘फंग-वोंग’ का खतरा मंडरा रहा है। यह इस साल का सबसे शक्तिशाली तूफान बताया जा रहा है, जो रविवार को देश के उत्तर-पूर्वी तटों से टकराने लगा है। मौसम विभाग के मुताबिक, फंग-वोंग की रफ्तार 185 किमी प्रति घंटा तक है, जबकि हवा के झोंके 230 किमी प्रति घंटा तक पहुंच रहे हैं। इसका प्रभाव 1,600 किलोमीटर के दायरे में फैल सकता है यानी यह दक्षिण-पूर्व एशिया के दो-तिहाई हिस्से को प्रभावित कर सकता है।
देशव्यापी आपात स्थिति घोषित
सरकार ने देशव्यापी आपात स्थिति घोषित कर दी है। राष्ट्रपति फर्डिनेंड मार्कोस जूनियर ने लोगों से अपील की है कि वे तुरंत सुरक्षित स्थानों पर चले जाएं। रक्षा मंत्री गिल्बर्टो टियोडोरो जूनियर ने चेतावनी दी कि यह तूफान देश के कई हिस्सों में तबाही मचा सकता है, जिसमें सेबू, औरोरा, इसाबेला और यहां तक कि राजधानी मनीला भी शामिल है।
उन्होंने कहा जब बारिश शुरू हो जाएगी या तूफान पूरी तरह आ जाएगा, तब लोगों को बचाना बेहद मुश्किल हो जाएगा। इसलिए अभी निकलना ही सबसे सुरक्षित विकल्प है। अब तक लगभग 50,000 परिवारों को बिकोल क्षेत्र से निकाला गया है, जहां समुद्र किनारे और ज्वालामुखी मायोन के पास भूस्खलन और मडफ्लो का खतरा बना हुआ है।
6,600 यात्री और कर्मचारी बंदरगाहों पर फंसे
इस बीच, कई इलाकों में बिजली कटौती, स्कूलों और सरकारी दफ्तरों की बंदी और उड़ानों की रद्दीकरण जैसी आपात स्थितियां घोषित की गई हैं। लगभग 6,600 यात्री और कर्मचारी बंदरगाहों पर फंसे हुए हैं क्योंकि कोस्ट गार्ड ने समुद्र में किसी भी जहाज के जाने पर रोक लगा दी है। फिलीपींस हर साल करीब 20 तूफानों की चपेट में आता है, साथ ही यहां अक्सर भूकंप और ज्वालामुखी विस्फोट भी होते रहते हैं। यह दुनिया के सबसे अधिक आपदा-प्रवण देशों में से एक माना जाता है।



